Öffentliche Bekanntmachungen
4. Änderung des Bebauungsplans "Scipiostraße" und Änderung der entsprechenden örtlichen Bauvorschriften. Hier: Durchführung des Beteiligungsverfahrens nach §§ 3 Abs. 2 und 4 Abs. 2 BauGB
In der Sitzung vom 20.03.2023 hat der Gemeinderat beschlossen, die 4. Änderung des Bebauungsplans „Scipiostraße“ auf den Weg zu bringen. Diese Bebauungsplan-Änderung wird im beschleunigten Verfahren nach § 13 a BauGB ohne Durchführung einer Umweltprüfung abgewickelt.
In der Gemeinderatssitzung am 14.10.2024 wurde die städtebauliche Analyse beschlossen. Diese wurde mit Beschluss vom 28.07.2025 der Öffentlichkeit und den Trägern öffentlicher Belange gem. §§ 3 Abs. 1 und 4 Abs. 1 BauGB im frühzeitigen Verfahren zugänglich gemacht.
Die eingegangenen Stellungnahmen wurden vom Planungsbüro und der Verwaltung gesichtet. Das Planungsbüro hat die diesbezüglichen Abwägungsvorschläge erarbeitet, welche in der Anlage beigefügt sind.
Der Gemeinderat hat in seiner Sitzung am 23.02.2026 folgende Beschlüsse gefasst:
1. die in der Abwägungstabelle aufgeführten Abwägungsvorschläge aus der frühzeitigen Beteiligung werden gebilligt
2. Der Entwurf zur 4. Änderung des Bebauungsplans „Scipiostraße“ und die diesbezüglichen örtlichen Bauvorschriften (Stand 22.01.2026) werden gebilligt
3. Die Verwaltung wird mit der Durchführung des Öffentlichkeits- und Behördenbeteiligungsverfahrens gemäß § 3 Absatz 2 und § 4 Absatz 2 Baugesetzbuch (BauGB) i. V. m. § 74 Abs. 6 Landesbauordnung (LBO) beauftragt.
Der Bebauungsplan „Scipiostraße – 4. Änderung“ wird im beschleunigten Verfahren gemäß § 13 a BauGB aufgestellt. Im vorliegenden Fall handelt es sich um einen Bebauungsplan der Innenentwicklung, da er der Nachverdichtung eines bestehenden Siedlungsgebietes im Innenbereich dient. Die Umsetzung des Bebauungsplans trägt zur Versorgung der Bevölkerung mit Wohnraum bei.
Bei einem Bruttobauland von ca. 21.000 qm und einer festgesetzten maximalen Grundflächenzahl von 0,4 liegt die Grundfläche gemäß § 19 Abs. 2 BauNVO deutlich unter 20.000 qm, sodass die Obergrenze für die Grundfläche nach § 13a Abs. 1 Satz 2 Nr. 1 BauGB nicht erreicht wird.
Weitere Bebauungspläne in der Aufstellung, die in einem engen, sachlichen, räumlichen und zeitlichen Zusammenhang stehen, bestehen nicht. Es sind darüber hinaus keine Pflichten zur Vermeidung oder Begrenzung der Auswirkungen von schweren Unfällen nach § 50 Satz 1 Bundesimmissionsschutzgesetz (BImSchG) zu beachten. Das Plangebiet liegt nicht im Umfeld sogenannter „Störfallbetriebe“.
Im Bebauungsplan werden keine Vorhaben zugelassen, für die eine Pflicht zur Durchführung einer Umweltverträglichkeitsprüfung besteht. Durch den Bebauungsplan werden keine FFH-Gebiete oder Vogelschutzgebiete beeinträchtigt. Die Belange der Umwelt nach § 1 Abs. 6 Nr. 7 BauGB werden in die Abwägung eingestellt.
Die Voraussetzungen für einen Bebauungsplan der Innenentwicklung im beschleunigten Verfahren nach § 13a BauGB sind somit gegeben.
Durch die Aufstellung eines Bebauungsplans mit Satzung über örtliche Bauvorschriften „Scipiostraße – 4. Änderung“ kann das Ortsbild geschützt und die Schaffung von zusätzlichem Wohnraum ermöglicht werden.
Um den vorhanden Gebietscharakter zu erhalten, jedoch ein sinnvolles Maß der Nachverdichtung zu ermöglichen, wurden auf Grundlage der städtebaulichen Analyse folgende städtebauliche Zielsetzungen formuliert:
- Nachverdichtung durch Neubebauung im rückwärtigen Bereich (Bebauung in „2. Reihe“), insbesondere auf bereits versiegelten Flächen (z.B. Parkierungsflächen, Hofflächen),
- Nachverdichtung durch Aufstockung der bestehenden Haupt- und Nebengebäude,
- Erhalt der bestehenden Grünflächen (priv. Hausgärten),
- Erhalt und Weiterentwicklung der städtebaulichen Kante entlang des Straßenverlaufs durch einheitliche Firsthöhen und durch Baulinien.
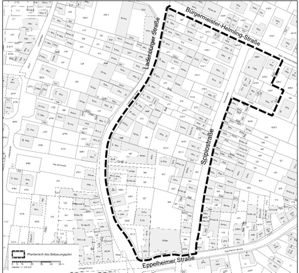
Der Geltungsbereich des Bebauungsplans „Scipiostraße - 4. Änderung (472,9 KB)“ umfasst eine Fläche von ca. 2,5 ha und beinhaltet die Flurstücke Nr. 112/9, 335/3, 335/7, 367, 367/1, 367/2, 371, 371/1, 372, 372/1, 373, 373/1, 374, 374/1, 375, 375/1, 375/2, 376, 376/1, 377, 377/1, 378, 378/1, 379, 380, 381, 381/1, 381/2, 381/3, 382, 383, 383/1, 384, 385, 386/4, 386/5, 386/6, 387, 387/1, 388, 390, 390/1, 391, 392, 393, 394, 424/2, 425/2, 425/3, 425/4, 426/1, 426/2. Maßgebend ist der Geltungsbereich, wie er im Lageplan, wie nachstehend abgedruckt, dargestellt ist.
Folgende Unterlagen können in der Zeit vom 06.03.2026 bis einschließlich 10.04.2026 unter https://www.plankstadt.de/,Lde/2255307.html sowie über das zentrale Internetportal des Landes (https://www.uvp-verbund.de) abgerufen werden:
- Entwurf 4. Änderung des Bebauungsplans „Scipiostraße“ und der entsprechenden örtlichen Bauvorschriften - zeichnerischer Teil (Stand 22.01.2026) (632,7 KB)
- Entwurf 4. Änderung des Bebauungsplans „Scipiostraße“ und der entsprechenden örtlichen Bauvorschriften – textliche Festsetzungen (Stand 22.01.2026) (333 KB)
- Entwurf 4. Änderung des Bebauungsplans „Scipiostraße“ und der entsprechenden örtlichen Bauvorschriften – Begründung (Stand 22.01.2026) (1014,4 KB)
- Abwägungen (444,9 KB) aus der frühzeitigen Beteiligung
Zudem liegen die Unterlagen im Rathaus in der Zeit vom 06.03.2026 bis einschließlich 10.04.2026 während der üblichen Dienststunden im Rathaus – Eingangsbereich Bauamt, 2. OG, Altbau, Schwetzinger Str. 28, zur Einsichtnahme aus.
Während der Auslegungsfrist können im Rathaus – Bauamt, 2. OG, Altbau, Schwetzinger Str. 28 Auskünfte verlangt und Stellungnahmen zu den Entwürfen abgegeben werden oder per E-Mail unter: bauamt@plankstadt.de.
Nicht fristgerecht abgegebene Stellungnahmen können bei der Beschlussfassung über die Änderung des Bebauungsplanes unberücksichtigt bleiben, sofern die Gemeinde deren Inhalt nicht kannte und nicht hätte kennen müssen und deren Inhalt für die Rechtmäßigkeit des Bauleitplans nicht von Bedeutung ist.
Plankstadt, den 24.02.2026
Nils Drescher
Bürgermeister
